Property Description

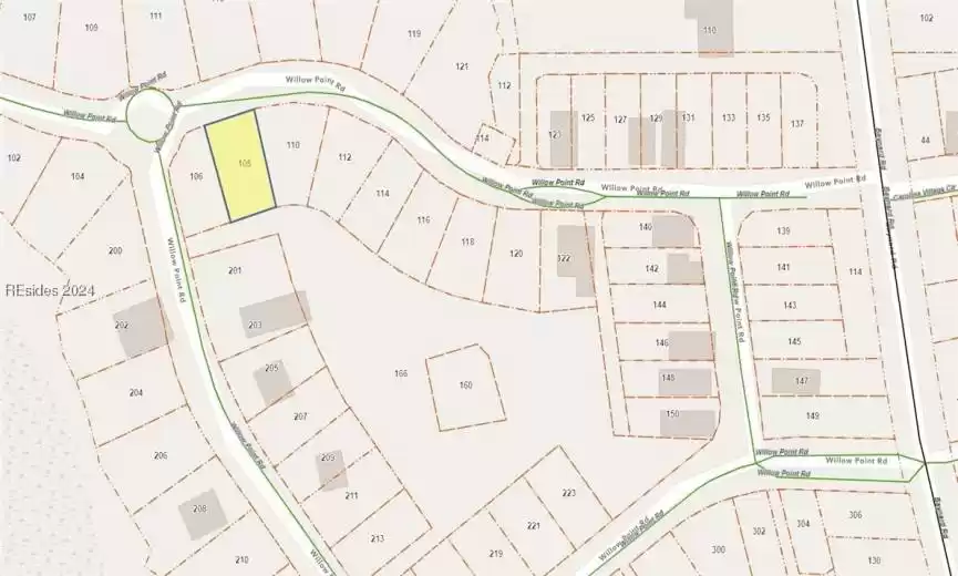
4 lots available in Willow Point. Can be purchased all together or as individual lots. Lot 17 (144 Willow Point Rd), Lot 28 (108 Willow Pt Rd), Lot 42 (108 Grande Oaks), and Lot 43 (106) Grande Oaks are available at $45,000 a piece.

Features
: Landscaped
: Dock
Address Map
SC
Beaufort
Beaufort
29906
45
W81° 14' 38.9''
N32° 23' 6.4''
Town Of Port Royal
Town Of Port Royal
Additional Information
Charter One Realty
John Binder
1
1
Cash,Conventional
: < 1/4 Acre
WILLOW POINT S/D
063729
063F
Review
Overall
0 Votes
100 0.0 0
Check-in
0 Votes
Communication
0 Votes
Location
0 Votes
Value
0 Votes
Accuracy
0 Votes
Cleanliness
0 Votes
You don't have access to post a review!
Load More

Land For Sale

Beaufort, South Carolina 29906

$45,000
Listing ID #442056
Basic Details
Property Type : Land
Listing Type : For Sale
Listing ID : 442056
Price : $45,000
Status : Active
Property Sub Type : Unimproved Land
Contact Agent